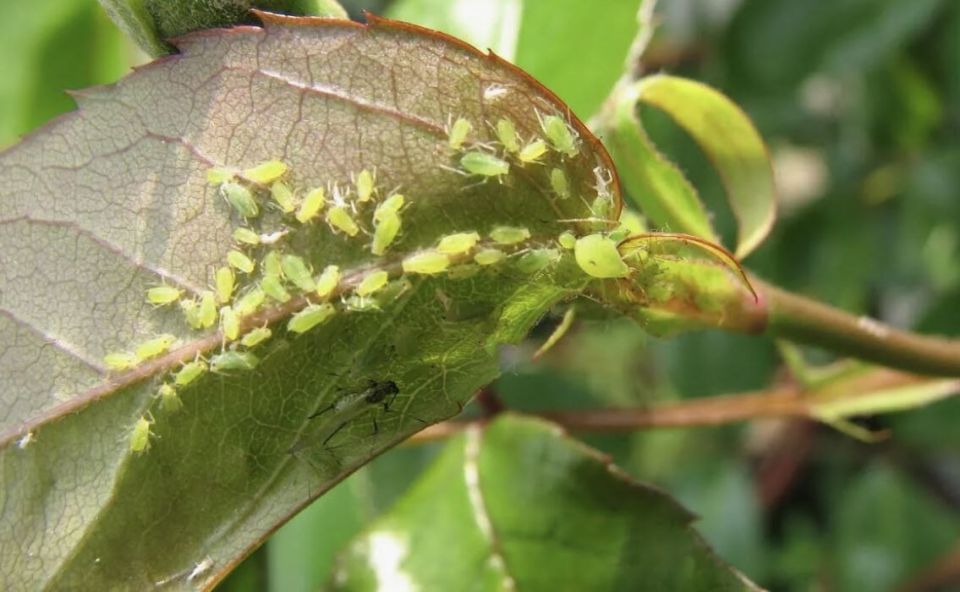
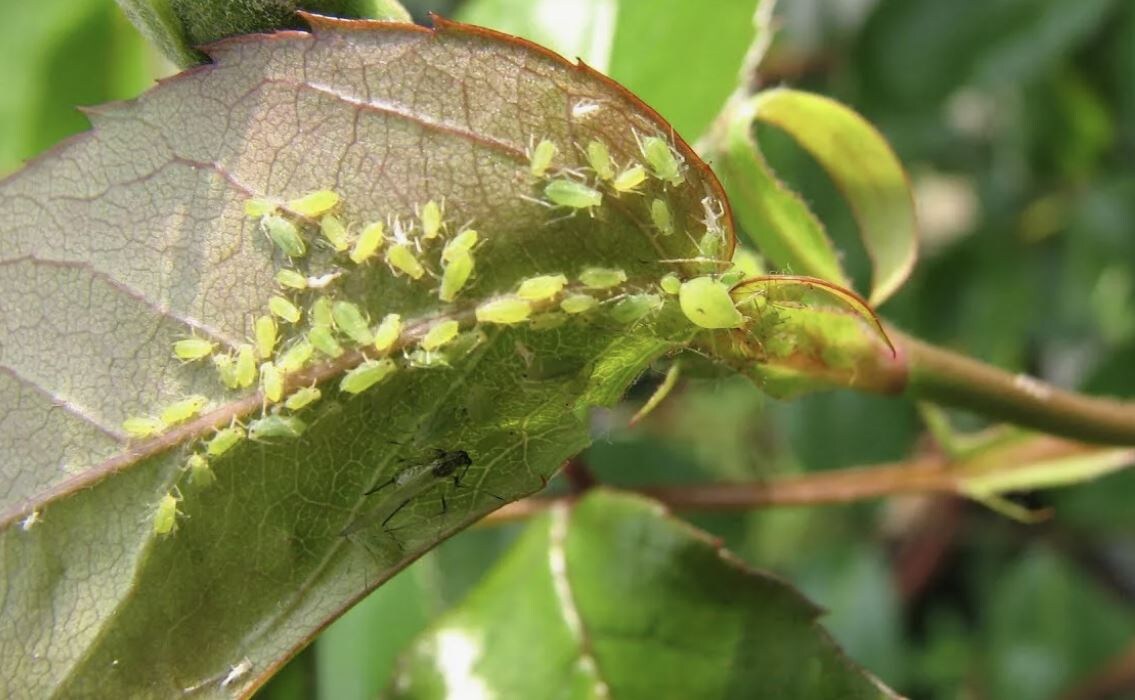
Тля, известная своим разрушительным воздействием на молодые растения, может быть серьезной угрозой для садоводов. Однако, добрые старые бабушкины рецепты помогают одолеть эту напасть без химических препаратов. Давайте рассмотрим несколько проверенных способов борьбы с тлей, которые пришли к нам из народной мудрости, пишет Дзен-канал "Сад-огород с Вероникой Поливкиной ".
1. Мыльно-зольный раствор
Эффективность: до 90% тли может быть устранено после первой обработки.
Состав:
- 1 стакан древесной золы
- 50 г хозяйственного мыла
- 5 л горячей воды
Применение: Золу залить горячей водой и настоять в течение 12 часов, затем добавить натертое мыло и перемешать. Опрыскивать растения, фокусируясь на нижней части листьев, желательно в утренние часы.
2. Чесночный настой
Эффективность: защита до двух недель.
Ингредиенты:
- 200 г чеснока (можно вместе с шелухой)
- 1 л воды
- 1 ч.л. красного перца (по желанию)
Как готовить: Измельчить чеснок, залить его водой и настаивать 3 дня в темноте. Процеживать, разбавить с водой в соотношении 1:10 и добавить 1 столовую ложку мыла для лучшего сцепления.
3. Табачная пыль
Эффективность: до 95% при правильном применении.
Компоненты:
- 1 стакан табачной пыли
- 3 л кипятка
- 2 ст.л. жидкого мыла
Использование: Залить табачную пыль кипятком и настоять 2 дня. Процеженный состав разбавить до 5 л и добавить мыло для повышения эффективности.
Каждый из предложенных способов демонстрирует свою эффективность в борьбе с тлей и дарит растениям вторую жизнь. Для максимального результата рекомендуется проводить опрыскивания каждые 5–7 дней до полного исчезновения вредителей. А для профилактики достаточно повторять обработку раз в две недели. Применение таких средств не только спасает урожай, но и способствует естественному восстановлению баланса в саду. Главное — не забывать о внимании к нижней стороне листьев, где тля часто прячется.































